Local & National Historic District Maps

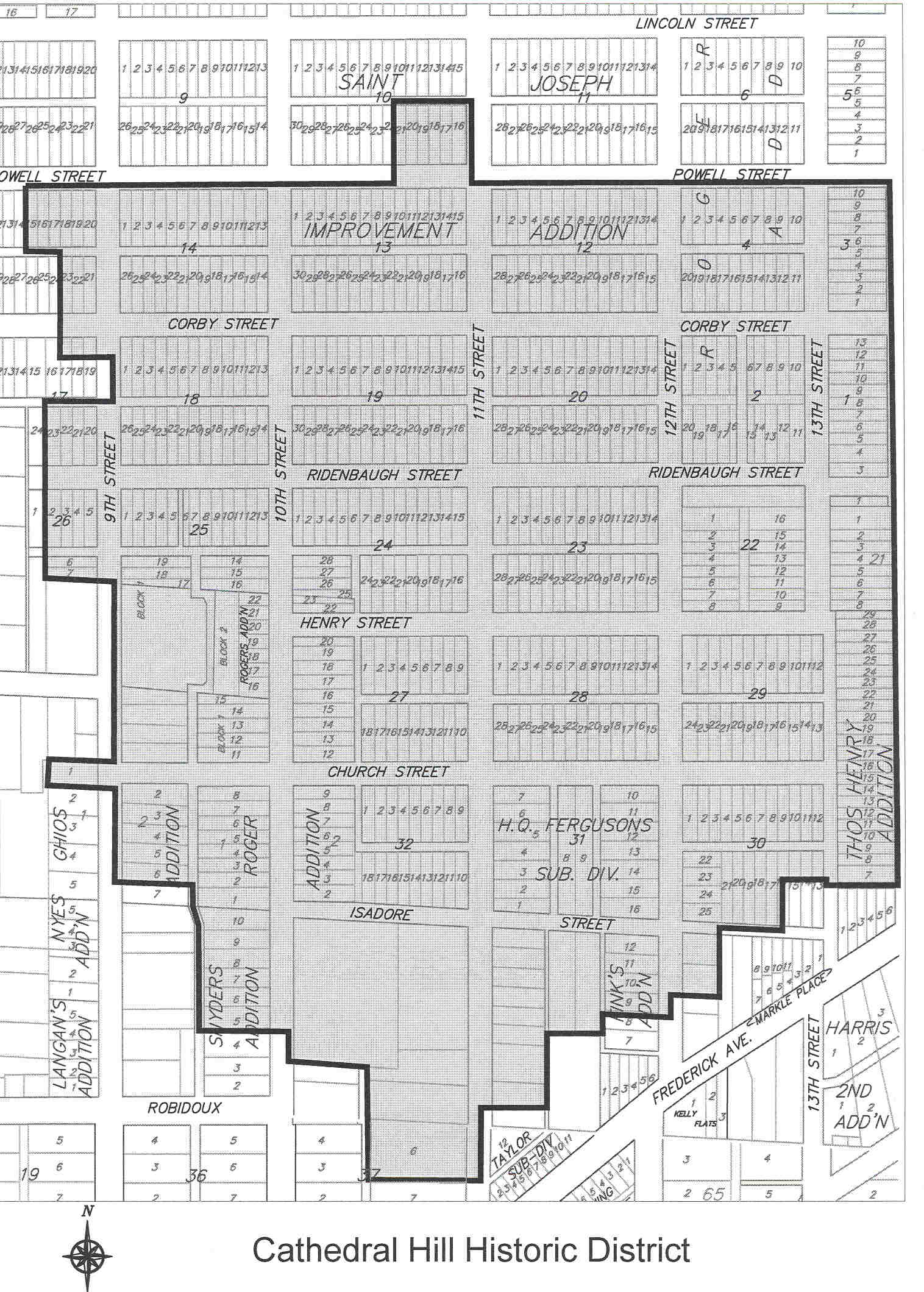
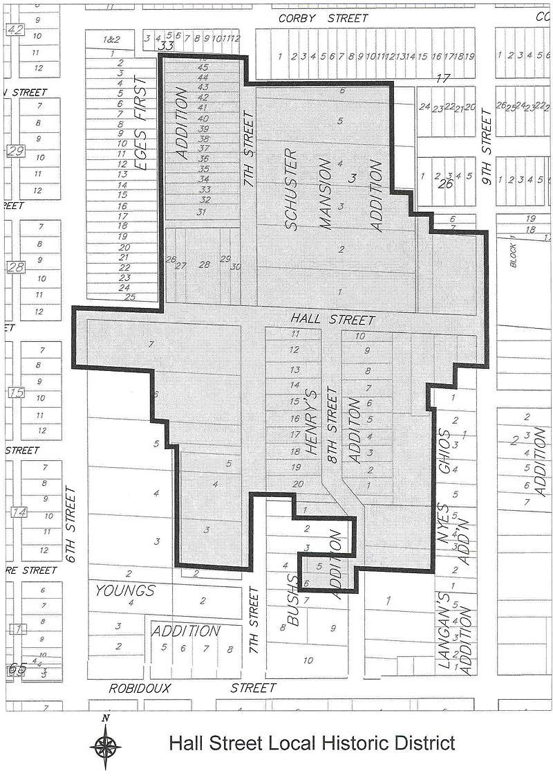
Local Historic District Maps

National Historic District Maps

MISSOURI GIS NRHP RESOURCES

MISSOURI NRHP RESOURCES and SURVEYS